大分鶴見の磯釣り
こんにちは、初めまして菊陽バイパス店の塚本です。
先日12月3日大分の鶴見の磯に6人で釣行してきました。
港を朝5時に出港し、10分ほどで磯に到着。ひととおり準備も終わり、夜明けまで時間があったのでエギングをしてみるものの音信不通
一緒に瀬上がりしたお客さんは、1杯釣れました。
そうこうしているうちに夜もあけ早速フカセ釣り開始
直後強烈な当たり![]()
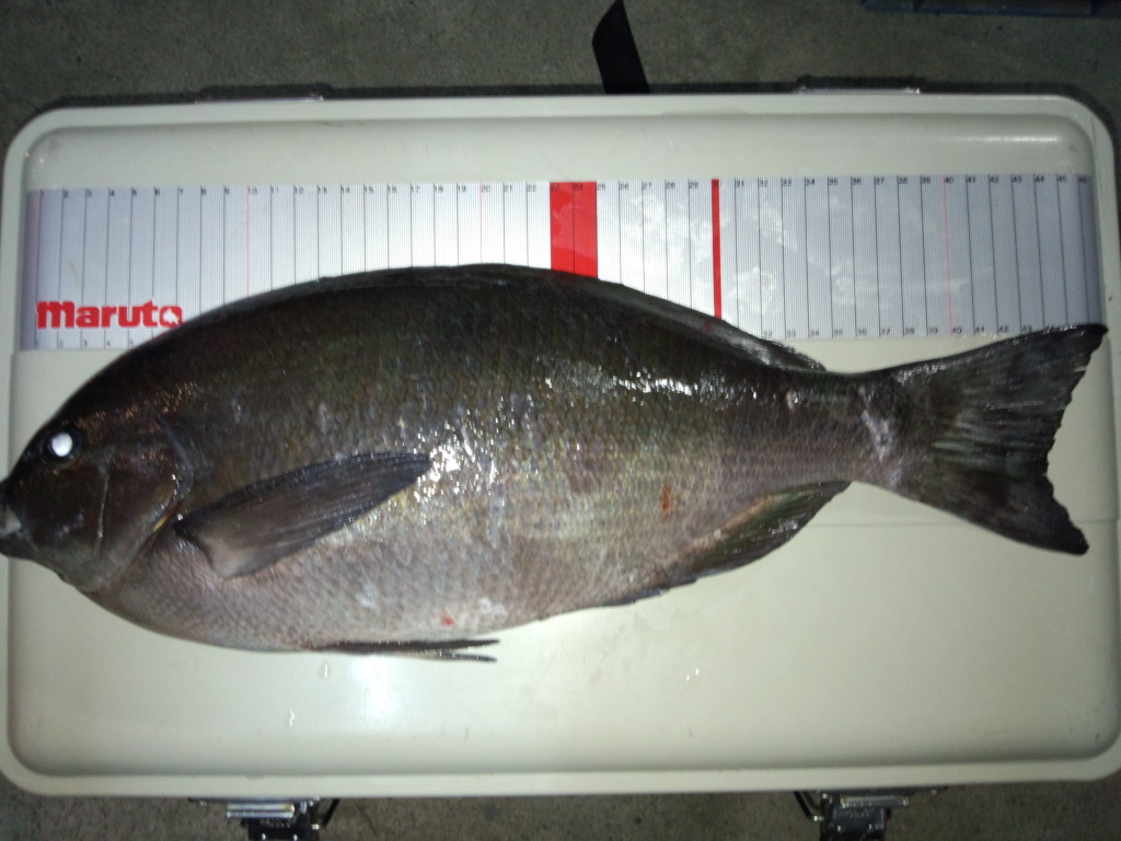
慎重にやり取りし、上がってきたのは47㎝の口太グレ
(たまたまですかね
)
その後30㎝前後を数枚追加したところで、海が一変、潮も止り、当たりがなく釣り続けること1時間
ウトウトしているとまたもや目の覚めるような当たり![]()
先ほどよりも重量感があり、引き方も口太で無いことに確信![]()
しばらくやり取りしていると、やっぱり引きがおかしい![]()
嫌な予感的中![]()
上がってきたのは、50㎝を優に超えるイスズミ
(毎回のように釣っています
)
しばし休憩し、釣り開始
しかし、上がってくるのは25㎝ほどのイサキや、イスズミばかり
趣向を変え、瀬際釣りへ変更。
するとすぐウキに反応有![]()
あわせを入れた途端、沖へ一気にもっていき、やり取りすること数分・・・上がってきたのは、60㎝のボラでした![]()
その後は、目立った釣果は無く、納竿。
半年ぶりの釣行は47㎝を筆頭に、30㎝前後数枚に終わりました。






